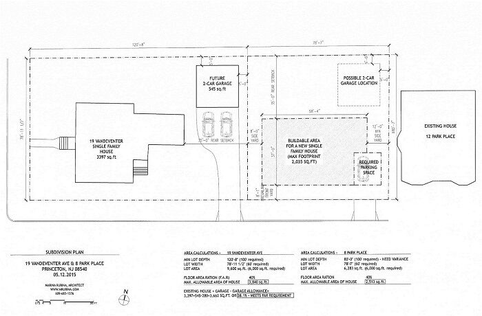
The final sales outcome for the 0.36-acre Beatty House property, located at the corner of Vandeventer Avenue and Park Place, appears to be one religious nonprofit and one new single family house.
The historic house, built around 1780 and once located where Firestone Library is now, was the subject of a creative selling approach. The seller, architect Robin Resch, had purchased the property in 2005 from the Historical Society for $1.151 million. She had the property on the market several times in recent years. In the meantime she obtained Planning Board approval to subdivide the property into the front lot, facing Vandeventer, on which the four-bedroom house sits, and a smaller parcel in the rear, facing Park Place, on which another house could be built.
Listed by Barbara Blackwell of Callaway Henderson, the full lot was listed for $2.85 million. But there was also an a la carte option: the house sits on 0.22 acres listed for $1.995 million, while the asking price for the 80-by-78-foot lot in the back was $875,000.
Ultimately the a la carte option won. The vacant 6,259-square-foot lot sold for $800,000 in June. The buyer is Ilhan Aksay, a chemical and bioengineering professor at Princeton University, and Isabelle Michel-Aksay. They plan to build a residential house on the property, which fronts Park Place and received subdivision and variance approval in April.
What can be built on the property? The lot is subject to former borough zoning regulations, with a building height maximum of 35 feet and three stories. Roughly 2,500 square feet of floor area is permitted.
The house must adhere to the street’s prevailing setback, which is roughly four feet. The minimum allowed side yard setback is eight feet.
The Aksays’ new house will be an addition to the property tax rolls. But the property tax on the Beatty House, nearly $40,000 a year, will leave the tax rolls.
The evangelical nonprofit Christian Union Incorporated purchased the Beatty House and received Planning Board approval in June to use the property as an office and student center. The board vote was split. Many neighbors opposed the conversion of a neighborhood house into a non-residential use and continued their fight at the July 14 meeting of the Planning Board, when the item was on the agenda as a resolution to be “memorialized.” (The property is one block away from the home of Princeton Echo editor Richard K. Rein, but he did not attend the meeting.)
The post-action resolution vote, usually a mundane affair, turned testy, with jeering from some in the audience, as several residents questioned the veracity of the Christian Union’s application as well as the process the Board used to verify the organization’s claim that it is affiliated with Princeton University (the approval in part hinged on an educational subsection of conditional use).
Board attorney Allen Porter said the only appeals recourse is through litigation. “On the general question of whether the record supported the board’s action, that’s what courts are for,” Porter said. “The board acted, it doesn’t get a do-over. It acted, we can’t now sit here and say we were lied to. We can’t assume that, any more than we can assume that other facts exist. “
The real estate broker, Blackwell, said the property will not close until September and she declined to reveal what the house sold for, though she did say the sale price was “close to asking.”
The buyer intends to preserve the structure, which currently has three parking spaces. However, the Christian Union will have to navigate the building permit application process and so the new center might not be completed until next spring.
The nonprofit already has a presence in town at 240 Nassau Street, which is next to Hoagie Haven. In 2002 the Christian Union purchased the property for $570,000 from Between the Living Word Incorporated, a separate religious nonprofit. The ministry center on Nassau Street is currently assessed at $989,600. Annual property tax bill? $0.
Zoning Board Update
There were five applications scheduled for the July 27 Zoning Board meeting.
159 Snowden Lane, owned by Elias & Mariola Abilheira. Requesting extension of 2015 variance for teardown.
194 Linden Lane, owned by Frank & Kerri DiSanzo. Seeking multiple variances for a single-family dwelling and detached garage. Existing house is a two-bedroom, one bathroom ranch.
296 Shady Brook Lane, owned by Insu & Inkyung Yi. Under contract with Joseph and Michelle Angelone, who have previously built and sold two homes in the Littlebrook neighborhood. Variance for teardown.
38 Hillside Road, owned by Yan Chen. Seeking variances for construction of addition to four-room ranch house.
256 Snowden Lane, owned by Barak and Alexandra Bar-Cohen. Seeking a use variance to convert detached three-car garage building into an apartment.
Recent Transactions
The following listings of residential home sales, which closed between June 1 and 10, are based on public records and tax files. The number in parentheses after the closing price indicates the amount above or below the original listing price.
19 Hamilton Avenue. Seller: Margaret H. Stange trust. Buyer: Brooke Brown. 4 bedrooms, 1 full and 2 half baths. 65×125 lot. Split-level. $550,000 (+$50,000).
204 State Road. Seller: Arno Orsini & Joanne Giambertone. Buyer: Rakesh Sanghvi. 4 bedrooms, 2 baths. Third-acre lot. Cape Cod. $550,000 (-$30,000).
44 Hornor Lane. Seller: Matthew Kerrigan & Vasilisa Sazonov. Buyer: Jiang Chang & Xiling Yuan. 3 bedrooms, 2 baths. 81×123 lot. $610,000 (+31,000).
118 Snowden Lane. Seller: Hans-Joachim & Jutta Lanz. Buyer: Dipali Patel & Raghu Kakumanu. 4 bedrooms, 2 baths. 70×150 lot. Cape Cod. $850,000.
190 Autumn Hill Road. Seller: Joseph & Ruth Mannino. Buyer: David Long & Alice St. Clair-Long. 3 bedrooms, 3 bath. 1.5-acre lot. Mid-century contemporary. $1,185,000 (+$5,000)
325 Cherry Hill Road. Seller: Victoria & Robert Dimella. Buyer: David Li & Lin Ge. 3 bedrooms, 2.5 baths. 1.55-acre lot. $1,500,000 (-$50,000)
49 Crooked Tree Lane. Seller: Clifford Birge. Buyer: Nikhil Doshi & Girija Jadhavrao. 4 bedrooms, 2.5 bathrooms. 1.5-acre lot. $725,000.
115 Brookstone Drive. Seller: Carol & Grant Beske. Buyer: Benedicte Callan & Ethan Kapstein. 4 bedrooms, 3.5 baths. 3.64-acre lot. Mid-century, one-story contemporary. $1,295,000.
37 Stonewall Circle. Seller: Erella Bregman. Buyer: 37 Stonewall LLC. 3 bedrooms, 2.5 baths. Fifth-acre, semi-detached house. $745,000 (-$6,000)
404 Nassau Street. Seller: 402 Nassau St LLC. Buyer: Brian & Bridget Ruscito. 5 bedrooms, 4.5 baths. Three-quarter acre lot. New construction. $2,025,000 (-$125,000)
102 Russell Road. Seller: Joy & Noah Levy family trust. Buyer: Charlotte Friedman. 4 bedrooms, 4 baths. Half-acre lot. Mid-century contemporary near Hun. $1,025,000 (-$75,000).
54 Maidenhead Road. Seller: Steven Rothstein & Margaret Nash. Buyer: Man Tsang & King Tse. 3 bedrooms, 2.5 baths. Attached townhouse in Fieldwood Manors. $650,000 (-$9,000).
300 Lambert Drive. Seller: Philip & Sharon Gross. Buyer: Ann & Christopher Rieger. 5 bedrooms, 4 baths. Two-acre lot. Cape cod. $999,000 ($4,000).
395 Wendover Drive. Seller: Evelyn & Jeffrey Sasmor. Buyer: Ananthi & Ram Duraiswamy. 5 bedrooms, 5.5 baths. 2.43-acre lot. $1,499,500 (-$50,500)

,

